15 апреля 2026 г.
дата обновления БД
9999
компании в базе
46102 посетителей
за март
16+
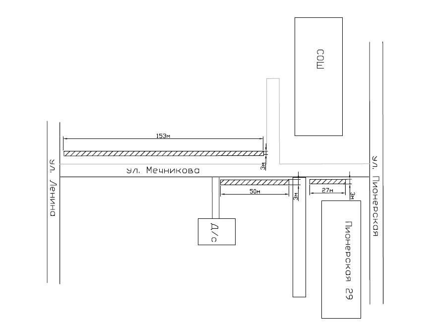
В Микуне появится новый тротуар по ул.Мечникова.
На портале госзакупок состоялся электронный аукцион по обустройству пешеходной зоны от дома №2 по ул.Мечникова до детского сада №4.
Начальная стоимость закупки составляла 2,76 млн рублей. На торги заявились пять организаций, победителем признан предприниматель О.Д.Васильев, который предложил за выполнение работ 1,99 млн рублей.
В технической документации указано, что работы должны быть выполнены в три этапа до 30 августа 2023 года. В рамках подготовительного этапа подрядчик закупит материал и получит необходимые согласования для проведения работ. Далее дорожники займутся устройством оснований тротуара, бордюрного камня, укладкой тротуарной плитки и установкой малых архитектурных форм.
Предполагается, что на территории пешеходной зоны будут установлены пять деревянных урн с железобетонным основанием и три скамейки.
С 20 по 30 августа подрядная организация должна вывезти строительный мусор и сдать объект заказчику. Гарантийный срок на тротуар составляет три года с даты подписания акта о приемке выполненных работ. В случае выявления дефектов и недостатков подрядчик обязан устранить их за собственный счет.
Фото из архива ИА "Комиинформ" и портала "Госзакупки"
По материалам ИА "Комиинформ"
4 марта 2023